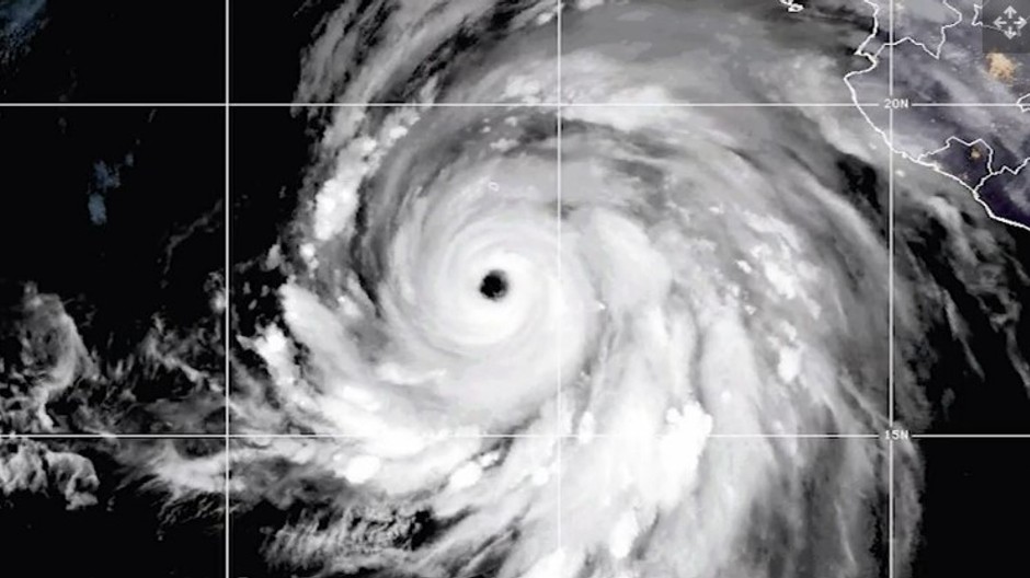
Takto vyzeralo pustošenie hurikánu Hilary z vesmíru
Máte vypnuté reklamy
Vďaka financiám z reklamy prinášame kvalitné a objektívne informácie. Povoľte si prosím zobrazovanie reklamy na našom webe. Ďakujeme, že podporujete kvalitnú žurnalistiku.
Zdroj: NOAA
Nasledujúce video, ktoré zachytil meteorologický satelit GOES-West amerického Národného úradu pre oceán a atmosféru (NOAA), ukazuje pohyb tropickej búrky od 19. do 21. augusta.
Hurikán Hilary v rozpore s predbežnými prognózami nespôsobil veľké škody. Búrka, ktorej vietor mal rýchlosť 120 kilometrov za hodinu, postupne slabla a bola preradená z hurikánu 4. kategórie do kategórie posttropických cyklónov.
Napriek tomu Hilary podľa Národnej hurikánovej služby priniesol historické zrážky, ktoré v regióne spôsobili katastrofálne záplavy a život ohrozujúce zosuvy pôdy a bahna.
Guvernér veľkej časti južnej Kalifornie vyhlásil stav ohrozenia. V okrese San Bernardino, kde za jeden deň spadlo rekordných 34 centimetrov zrážok, úrady vydali varovanie pred povinnou evakuáciou, čo prinútilo tisíce ľudí opustiť svoje domovy.